OBWIESZCZENIE O WSZCZĘCIU POSTĘPOWANIA
Na podstawie art. 9o ust. 6 i 6a ustawy z dnia 28 marca 2003 r. o transporcie kolejowym Dz.U.2023.1786) – dalej: utk oraz art. 49 ustawy z dnia 14 czerwca 1960 r. Kodeks postępowania administracyjnego (Dz.U.2024.572) – dalej: Kpa,
WOJEWODA MAŁOPOLSKI
zawiadamia, że 7 listopada 2024 r. zostało wszczęte postępowanie administracyjne (znak: WI-IV.747.2.13.2024), w sprawie wydania decyzji o ustaleniu lokalizacji linii kolejowej dla inwestycji pn.:
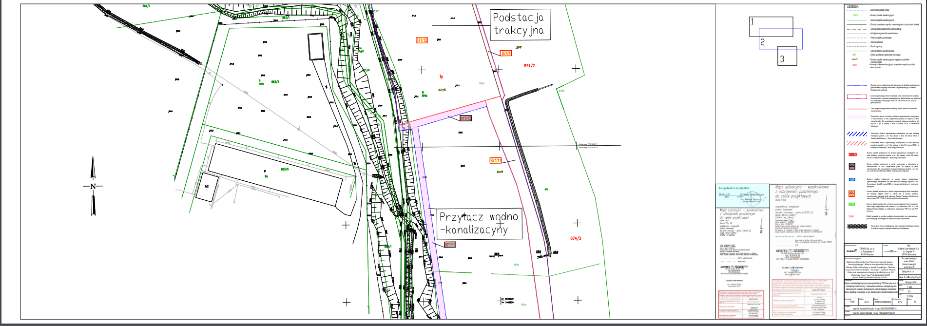
Budowa nowej Podstacji Trakcyjnej Pisarzowa
realizowanej w ramach projektu pn.: „Budowa nowej linii kolejowej Podłęże – Szczyrzyc – Tymbark/Mszana Dolna oraz modernizacja istniejącej linii kolejowej nr 104 Chabówka – Nowy Sącz” na odcinku od km 55+001 (km istn.) 56+662 do km 55+410 (km istn. 57+137), na wniosek inwestora: PKP Polskie Linie Kolejowe S.A., ul. Targowa 74, 03-734 Warszawa, działającego przez pełnomocników.
Inwestycją objęte są niżej wymienione nieruchomości położone w granicach terenu wskazanego we wniosku, zlokalizowane w województwie małopolskim, w powiecie limanowskim:
Gmina Limanowa, obręb 0009 Męcina, działki nr: 855/15, 853, 855/17, 855/14, 854/1, 854/2, 864/2, 653, 654/13, 654/14, 654/18, 654/9, 654/7, 654/5, 654/10, 654/11, 871/8, 870/3, 874, 872, 878/1.
Zgodnie z art. 49 Kpa – w przypadku zawiadomienia przez obwieszczenie - doręczenie uważa się za dokonane po upływie czternastu dni od dnia publicznego ogłoszenia, tj. ukazania się obwieszczenia o wszczęciu postępowania. Zainteresowane strony lub ich pełnomocnicy, legitymujący się pełnomocnictwem sporządzonym zgodnie z art. 32 i 33 Kpa, mogą na każdym etapie postępowania, 2 zapoznać się z materiałem dowodowym oraz dokumentacją przedłożoną przez inwestora w siedzibie Małopolskiego Urzędu Wojewódzkiego i w tym przedmiocie wnieść ewentualne uwagi lub zastrzeżenia, powołując się na znak sprawy: WI-IV.747.2.13.2024.
Kontakt z organem zapewniony jest:
1. za pośrednictwem wszelkich środków komunikacji zdalnej, w tym komunikacji elektronicznej (np. za pośrednictwem skrzynki ePUAP - /ag9300lhke/skrytka, faksem - 12 422 72 08;
2. pocztą tradycyjną - uwagi i wnioski należy kierować na adres Małopolskiego Urzędu Wojewódzkiego w Krakowie (ul. Basztowa 22, 31-156 Kraków);
3. osobiście wyłącznie po wcześniejszym uzgodnieniu terminu drogą telefoniczną (12 39-21-226).
Na stronie BIP Małopolskiego Urzędu Wojewódzkiego w Krakowie, opublikowano mapy z przebiegiem inwestycji. Są one dostępne w menu podmiotowym w zakładce: Urząd Wojewódzki/ Wydziały/ Infrastruktury/ Repozytorium plików/ nazwa inwestycji;
(https://bip.malopolska.pl/muw,a,2583279,wi-iv7472132024-zalaczniki-graficzne-downiosku-o-wydanie-decyzji-o-ustaleniu-lokalizacji-linii-kole.html)
POUCZENIA
Informuje się, że zgodnie z przepisami utk:
Wojewoda zawiadamia o wszczęciu postępowania o ustaleniu lokalizacji linii kolejowej:
- wnioskodawcę – na adres wskazany we wniosku;
- właścicieli lub użytkowników wieczystych nieruchomości objętych wnioskiem – na adres określony w katastrze nieruchomości (którego funkcję pełni ewidencja gruntów i budynków) ze skutkiem doręczenia;
- Prezesa UTK,
- pozostałe strony, w drodze obwieszczenia w urzędzie wojewódzkim i urzędach gmin właściwych ze względu na lokalizację linii kolejowej, na stronach internetowych tych urzędów, a także w prasie lokalnej.
W przypadku nieuregulowanego stanu prawnego nieruchomości objętych wnioskiem o wydanie decyzji o ustaleniu lokalizacji linii kolejowej lub braku w katastrze nieruchomości danych pozwalających na ustalenie danych osobowych, w szczególności adresu zamieszkania, właściciela lub użytkownika wieczystego nieruchomości albo w sytuacji, gdy właściciel lub użytkownik wieczysty nie żyją, a ich spadkobiercy nie wykazali prawa do spadku, zawiadomienie właściciela lub użytkownika wieczystego o wszczęciu postępowania o ustaleniu lokalizacji linii kolejowej dokonuje się w drodze
obwieszczenia w urzędzie wojewódzkim i urzędach gmin właściwych ze względu na przebieg linii kolejowej, w Biuletynie Informacji Publicznej na stronach podmiotowych tych gmin oraz urzędu wojewódzkiego, a także w prasie lokalnej.
Z dniem doręczenia niniejszego zawiadomienia:
1. nieruchomości stanowiące własność Skarbu Państwa lub jednostki samorządu terytorialnego, objęte wnioskiem o wydanie decyzji o ustaleniu lokalizacji inwestycji linii kolejowej, nie mogą być przedmiotem obrotu w rozumieniu przepisów ustawy o gospodarce nieruchomościami (przepisu tego nie stosuje się
do 1) nieruchomości wnoszonych przez Polskie Koleje Państwowe Spółkę Akcyjną, zwane dalej „PKP S.A.”, w formie wkładu niepieniężnego do PLK S.A. na podstawie art. 17 ust. 1 ustawy z dnia 8 września 2000 r. o komercjalizacji i restrukturyzacji przedsiębiorstwa państwowego „Polskie Koleje Państwowe”
(Dz.U. z 2022 r. poz. 2542 oraz z 2023 r. poz. 1720);
2) obrotu nieruchomościami, dokonywanego przez PLK S.A., CPK albo jednostkę samorządu terytorialnego, na rzecz których została wydana decyzja o ustaleniu lokalizacji linii kolejowej, albo dokonywanego za ich zgodą wydaną nie wcześniej niż po upływie dnia, w którym decyzja o pozwoleniu na budowę dotycząca nieruchomości stała się ostateczna;
3) obrotu nieruchomościami, o których mowa w art. 9s ust. 9, który jest dokonywany z dniem, w którym decyzja o pozwoleniu na budowę dotycząca tej nieruchomości stała się ostateczna.).
Czynność prawna dokonana z naruszeniem ww. wymogu jest nieważna;
2. w odniesieniu do nieruchomości objętych wnioskiem o wydanie decyzji o ustaleniu lokalizacji linii kolejowej do czasu ostatecznego zakończenia postępowania w sprawie wydania takiej decyzji, nie wydaje się decyzji o pozwoleniu na budowę dla innych inwestycji, a toczące się postępowania w tych sprawach podlegają zawieszeniu z mocy prawa do czasu ostatecznego zakończenia postępowania w sprawie wydania decyzji o ustaleniu lokalizacji linii kolejowej (chyba że postępowanie dotyczy inwestycji celu publicznego, których przygotowanie i realizacja następuje za zgodą podmiotu, na wniosek którego wszczęto postępowanie w przedmiocie wydania decyzji o ustaleniu lokalizacji linii kolejowej);
3. w przypadku zgłoszenia zamiaru wykonywania robót budowlanych wszczęcie postępowania w przedmiocie wydania decyzji o ustaleniu lokalizacji linii kolejowej zobowiązuje właściwy organ administracji architektoniczno-budowlanej do wniesienia sprzeciwu od zgłoszenia (chyba że postępowanie dotyczy inwestycji celu publicznego, których przygotowanie i realizacja następuje za zgodą podmiotu, na wniosek którego wszczęto postępowanie w przedmiocie wydania decyzji o ustaleniu lokalizacji linii kolejowej).
W przypadku, gdy po doręczeniu niniejszego zawiadomienia nastąpi:
1) zbycie własności lub prawa użytkowania wieczystego nieruchomości nie będącej własnością Skarbu Państwa i jednostki samorządu terytorialnego objętej wnioskiem o wydanie decyzji o ustaleniu lokalizacji linii kolejowej,
2) przeniesienie własności lub prawa użytkowania wieczystego nieruchomości objętej wnioskiem, o którym mowa w pkt 1, wskutek innego zdarzenia prawnego,- nabywca, a w przypadku, o którym mowa w pkt 1, nabywca i zbywca, są zobowiązani do zgłoszenia właściwemu wojewodzie danych nowego właściciela lub użytkownika wieczystego w terminie 7 dni od dnia zbycia. Niedokonanie ww. zgłoszenia i prowadzenie postępowania bez udziału nowego właściciela lub użytkownika wieczystego nie stanowi podstawy do wznowienia postępowania.
Natomiast zgodnie z przepisami Kpa informuje się w szczególności, że:
1) Strona może działać przez pełnomocnika (art. 32 Kpa).
2) Pełnomocnikiem strony może być osoba fizyczna posiadająca zdolność do czynności prawnych (art. 33 § 1 Kpa).
3) Pełnomocnictwo powinno być udzielone na piśmie lub zgłoszone do protokołu (art. 33 § 2 Kpa).
4) Pełnomocnik dołącza do akt oryginał lub urzędowo poświadczony odpis pełnomocnictwa (art. 33 § 3 Kpa).
5) Pisma doręcza się stronie, a gdy strona działa przez przedstawiciela – temu przedstawicielowi (art. 40 § 1 Kpa).
6) Jeżeli strona ustanowiła pełnomocnika, pisma doręcza się pełnomocnikowi.
Jeżeli ustanowiono kilku pełnomocników, doręcza się pisma tylko jednemu pełnomocnikowi. Strona może wskazać takiego pełnomocnika (art. 40 § 2 Kpa).
7) Strona, która nie ma miejsca zamieszkania lub zwykłego pobytu albo siedziby w Rzeczypospolitej Polskiej, innym państwie członkowskim Unii Europejskiej, Konfederacji Szwajcarskiej albo państwie członkowskim Europejskiego Porozumienia o Wolnym Handlu (EFTA) - stronie umowy o Europejskim Obszarze Gospodarczym, jeżeli nie ustanowiła pełnomocnika do prowadzenia sprawy zamieszkałego w Rzeczypospolitej Polskiej i nie działa za pośrednictwem konsula Rzeczypospolitej Polskiej, jest obowiązana wskazać w Rzeczypospolitej Polskiej pełnomocnika do doręczeń, chyba że doręczenie następuje usługą rejestrowanego doręczenia elektronicznego (art. 40 § 4 Kpa).6
8) W razie niewskazania pełnomocnika do doręczeń, przeznaczone dla tej strony pisma pozostawia się w aktach sprawy ze skutkiem doręczenia (art. 40 § 5 Kpa).
9) W toku postępowania strony oraz ich przedstawiciele i pełnomocnicy mają obowiązek zawiadomić organ administracji publicznej o każdej zmianie swojego adresu (art. 41 § 1 Kpa).
10)W razie zaniedbania ww. obowiązku doręczenie pisma pod dotychczasowym adresem ma skutek prawny (art. 41 § 2 Kpa). Obwieszczenie podlega publikacji (art. 9o ust. 6 i 6a utk):
-w prasie lokalnej,
- na tablicy ogłoszeń, na stronie internetowej oraz w Biuletynie Informacji Publicznej Małopolskiego Urzędu Wojewódzkiego w Krakowie i Urzędu Gminy Limanowa
